ИЗМЕНЕНИЕ СУЩЕСТВУЮЩИХ точек speedcamonline.ru

X-Can

Maicl

Специалист
Регистрация
31.10.2012
Сообщения
6 932
Тема создана для обсуждения объектов в базе speedcamonline.ru, пишем данные по изменению существующих точек.
------------------------------------------------------------------------------------------------------------------------------------
ВАЖНО: Для оперативного внесения информации в базу, если вы используете устройства Neoline, Sho-Me или SilverStoneF1 - НАСТОЯТЕЛЬНО рекомендуем давать данные о камерах через обратную связь официальных сайтов
------------------------------------------------------------------------------------------------------------------------------------
Обсуждаем, пишем о проблемных точках, установленных не в том месте (уточнение координат), повернуты не в ту сторону, маленькая/большая дистанция, не тот лимит скорости в базе, добавить контроль "в спину", удаление существующих точек в базе, изменение типа комплекса, добавление к существующей точке фото и т.п., в общем уточнение данных по добавленной уже точке базы speedcamonline.ru.
Указываем id точки speedcam из соответствующей базы, а лучше всего дать ссылку из базы 4pda0st, если маломощный радар из базы strelki
Пример:
SpeedCamOnLine.ru | 4pda0st | 10089. Стац. радар
SpeedCamOnLine.ru | strelki | 2135. Маломощный



Фото-видео, любая другая информация приветствуется.
  • Внимание! Просим не размещать данные взятые с ресурса mapcam.info в связи с прямым запретом на использование опубликованных у них данных.
  • Курс - направление движения автомобиля: Север=0; Восток=90; Юг=180; Запад=270. (Это НЕ куда смотрит камера, а с какого направления она ловит - то есть азимут движения)
  • Просьба заливать фото в формате *.jpg.
  • Отдельная точка в базе - это не отдельная камера, а отдельное направление контроля
 
Последнее редактирование модератором:

Nagumich

Moderator
Команда форума
Регистрация
07.06.2012
Сообщения
10 940
Регион
Москва
Детектор
Neoline 6200s 21/14
Авто
Captiva 2.4AT
По обзорному фото штрафа - не может Скат в спину фиксировать.
photo_2024-11-14 14.57.29.jpeg
 
Последнее редактирование:

Nagumich

Moderator
Команда форума
Регистрация
07.06.2012
Сообщения
10 940
Регион
Москва
Детектор
Neoline 6200s 21/14
Авто
Captiva 2.4AT
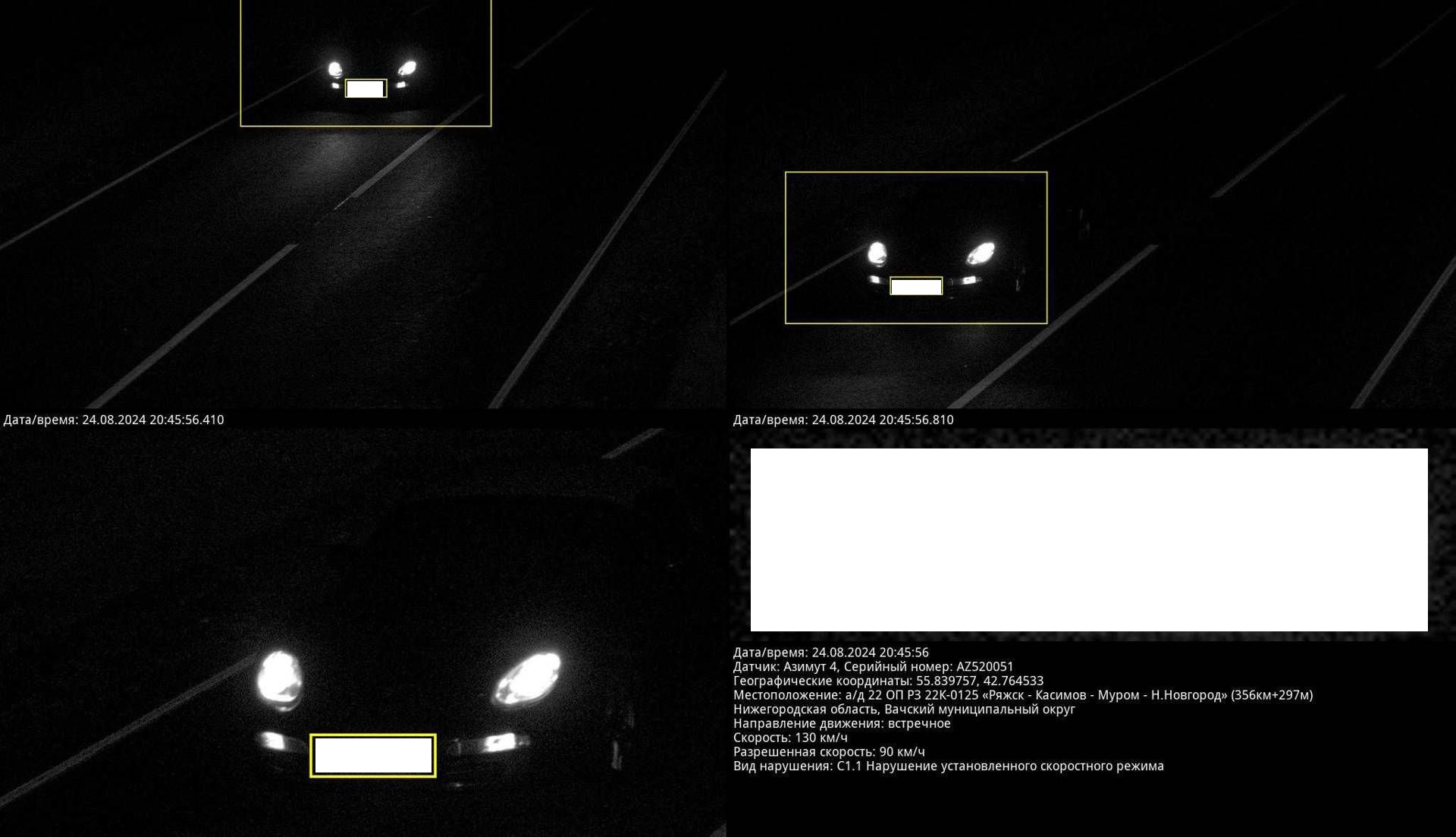
24.08.2024 камера штрафовала за 90
Посмотреть вложение 87386
24.08.2024 камера штрафовала за 90
Посмотреть вложение 87387
@uDAV163 Там в обе стороны 90 в обеих точках.
Персонаж их грамотно (для нас) пролетел и туда, и обратно, я фото обратных направленией не стал прикладывать, как оказалось - зря.
 

Nagumich

Moderator
Команда форума
Регистрация
07.06.2012
Сообщения
10 940
Регион
Москва
Детектор
Neoline 6200s 21/14
Авто
Captiva 2.4AT
Здравствуйте, Камеры ГИБДД на карте speedcam.online | , 53054. Видеоблок поменяйте ограничение скорости на 40км\ч
Интересно, а почему тип - видеоблок, но при этом - с ограничением скорости? И соседняя точка тоже.
Это к кураторам вопрос, а не к вам, если вдруг что.
 

Nagumich

Moderator
Команда форума
Регистрация
07.06.2012
Сообщения
10 940
Регион
Москва
Детектор
Neoline 6200s 21/14
Авто
Captiva 2.4AT

SID404

Остался Почитать
Регистрация
20.10.2015
Сообщения
73
Регион
VRN
Детектор
Silverstone F1 Uno A12Z Wi-Fi
Авто
Octa

Вложения

  • derzh1.jpg
    derzh1.jpg
    165,8 КБ · Просмотры: 33
  • вукяр1.jpg
    вукяр1.jpg
    782,6 КБ · Просмотры: 37

uDAV163

Куратор Базы Данных
Регистрация
18.09.2013
Сообщения
2 564
Регион
Самара
Детектор
Neoline X-COP 6200s
Авто
Hyundai Palisade
Вот эта точка: Камеры ГИБДД на карте speedcam.online | , 239277. Стац. радар
Сейчас там тумба, которая смотрит в спину тем, кто едет в сторону кольца.
Если правильно понимаю, в базе указана другая зона контроля?
В базе все верно. Точка в спину.
Добавил фото.
 

Владислав8

Остался Почитать
Регистрация
28.07.2021
Сообщения
75
Регион
Башкортостан
Детектор
SilverStone F1 Doppler PRO
Авто
Мерседес
Последнее редактирование:

Статистика форума

Темы
5 305
Сообщения
530 373
Пользователи
30 146
Новый пользователь
Мантойя
Верх Низ